踏實的成果!!!本案「都市新掛件」完成,整體推動再升級
2026-01-22
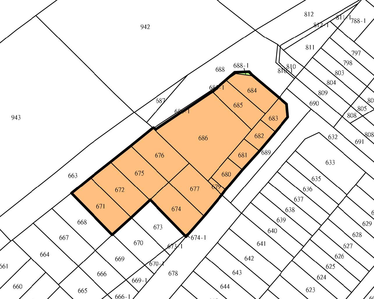
更新單元範圍包括萬華區華江段一小段671、672、674、674-1、675、676、677、679、680、681、682、683、684、685、686、688-1地號,共16筆土地,面積共計約1,428.00㎡。
更新單元範圍包括萬華區華江段一小段671、672、674、674-1、675、676、677、679、680、681、682、683、684、685、686、688-1地號,共16筆土地,面積共計約1,428.00㎡。